Agences immobilières CENTURY 21 : immobilier, achat, vente, location et activités de gestion immobilière
  1. Accueil
  2. Achat
  3. Achat Terrain
  4. Achat Terrain Charente-Maritime (17)
  5. Achat Terrain LA CLISSE (17600)

Terrain à vendre 956 m2 LA CLISSE - 17

Ref : 272

52 250 €

  • Honoraires charge acquéreur: 10,59 % TTC
  • Prix hors honoraires: 47250€
Terrain à vendre - 956 m2 - La Clisse - 17 - POITOU-CHARENTES
Terrain à vendre - 956 m2 - La Clisse - 17 - POITOU-CHARENTES
Terrain à vendre - 956 m2 - La Clisse - 17 - POITOU-CHARENTES
Envoyer un message
Message
Envoyer ce bien à un ami

Description

L'agence Century 21 Agence de la Seudre a le plaisir de vous proposer ce terrain à bâtir d'environ 956 m², situé sur la commune de La Clisse, à seulement 15 minutes de Saintes et de Saujon.

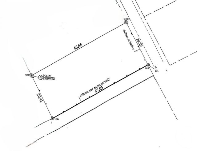
Ce terrain offre une belle façade (voir dimensions sur le plan) et est entièrement borné.
Ses dimensions sont les suivantes :
20,41 m 47,03 m 20,39 m 46,68 m (voir plan).

Les raccordements en eau et électricité sont à prévoir, ainsi qu'un assainissement individuel.

Un cadre agréable et calme, idéal pour concrétiser votre projet de construction tout en restant proche des commodités.

---
Century 21 Agence de la Seudre
51 cours Victor Hugo 1760 SAUJON
05 19 08 19 25

Vue globale

  • Surface totale : 956 m2

Équipements

Général

  • Façade : 20,41 m

À savoir

Les performances énergétiques

Non soumis au DPE

Ce bien est proposé par l'agence CENTURY 21 Agence de la Seudre

CENTURY 21 Agence de la Seudre

CENTURY 21 Agence de la Seudre

51 cours Victor Hugo

17600 SAUJON

05 19 08 19 25

Nos offres

Notre agence immobilière à Saujon vous propose :

Demande d'information sur ce terrain à LA CLISSE (17)

Envoyer

Envoyer à un ami

Envoyer

Créer votre alerte

Rappel de vos critères de recherche :

Erreur dans les critères envoyés

Limite d'alertes atteinte

Cette alerte existe déjà

Cette alerte est déjà enregistrée pour cette adresse email. Vous continuerez à recevoir les biens correspondant à vos critères.

Une erreur est survenue

Merci de réessayer ultérieurement.

Votre alerte a été créée

Vous recevrez les biens correspondant à vos critères.

logo vente privées

48h

d’avance sur
le marché

Prenez un temps d’avance sur le marché en profitant gratuitement des Ventes Privées CENTURY 21

Si ce n’est déjà fait, allez compléter le profil de votre compte afin de pouvoir recevoir en avant-première des biens exclusifs, réservés à nos clients pendant les 48 premières heures suivant leur commercialisation.

Nos agences proposent régulièrement des biens comme celui que vous cherchez

Ne ratez pas une opportunité, on vous alerte en priorité !

Êtes-vous actuellement propriétaire de votre bien ?
Créer une alerte
Je souhaite être alerté
Voir les biens correspondants