Terrain à vendre 340 m2 ARLES SUR TECH - 66
92 000 €
- Honoraires charge vendeur
-
1/5 -
2/5 -
3/5 -
4/5 -
5/5
Description
Situé dans un environnement calme et agréable, ce terrain est idéal pour concrétiser votre projet de construction, que ce soit pour une résidence principale ou secondaire. Vous profiterez d'un cadre naturel privilégié, entre mer et montagne, au cœur du Vallespir.
À seulement 10 minutes de Céret, vous bénéficiez de la proximité des commerces, écoles et services tout en conservant la tranquillité d'un village authentique.
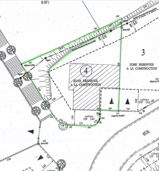
Ce terrain de 340 m² offre une vue dégagée et imprenable sur le Canigou, dans un environnement paisible avec une belle exposition. Il est déjà viabilisé et entièrement clôturé, ce qui facilite et sécurise votre projet.
Il est piscinable, vous permettant d'aménager un bel espace extérieur. Vous avez la possibilité de réaliser une maison 4 faces, offrant luminosité et indépendance sur chaque côté. La surface constructible est importante, laissant de nombreuses possibilités pour concevoir la maison de vos rêves.
Un emplacement rare pour les amoureux de nature et de tranquillité, à quelques minutes seulement de Céret.
Contactez-nous dès maintenant pour plus d'informations ou organiser une visite.
CENTURY 21 Agence des Cerisiers - Tél: 04 68 21 21 00
Vue globale
- Surface totale : 340 m2
Équipements
Général
- Eau
- Clôture
- électricité
- Viabilité
- bornage
À savoir
À proximité
- Vue dégagée
- Nature
- Ecole
- Commerces
Les performances énergétiques
Ce bien est proposé par l'agence CENTURY 21 Agence des Cerisiers
Créer votre alerte
Rappel de vos critères de recherche :
Modifier les critères
Erreur dans les critères envoyés
Limite d'alertes atteinte
Cette alerte existe déjà
Cette alerte est déjà enregistrée pour cette adresse email. Vous continuerez à recevoir les biens correspondant à vos critères.
Une erreur est survenue
Merci de réessayer ultérieurement.
Votre alerte a été créée
Vous recevrez les biens correspondant à vos critères.
48h
d’avance sur
le marché
Prenez un temps d’avance sur le marché en profitant gratuitement des Ventes Privées CENTURY 21
Si ce n’est déjà fait, allez compléter le profil de votre compte afin de pouvoir recevoir en avant-première des biens exclusifs, réservés à nos clients pendant les 48 premières heures suivant leur commercialisation.
Nos agences proposent régulièrement des biens comme celui que vous cherchez
Ne ratez pas une opportunité, on vous alerte en priorité !